腸易激綜合征(IBS)是一種以慢性或者反復發作的腹痛伴排便習慣改變為特征的功能性腸病,并缺乏形態學和生化標志的異常是一個缺乏器質性改變的臨床綜合征,其胃腸道癥狀常表現為腹痛,腸道習慣改變如腹瀉或便秘、腹脹或腸道緊迫感,常伴隨精神癥狀如焦慮和抑郁。IBS是一個全球性的問題,影響全球10-15%的人口,隨著近年來人們生活節奏的加快、飲食結構的改變,神經、精神、感染因素所致的腸易激綜合征發病率有上升趨勢。當前治療方法(如抗痙攣藥、益生菌或飲食干預)效果有限,缺乏長期療效和靶向性。IBS-D患者的藥代動力學(如藥物吸收和分布)因腸道動力紊亂而顯著改變,導致口服藥物(如腸溶膠囊)難以維持穩定血藥濃度。
針對這一臨床需求,浙江大學周民教授團隊開發了一種創新的口服工程微藻生物系統(SP@MYnn),能夠靶向腸道絨毛、抵抗胃酸、調節腸道微生物群,并通過腸道-腦軸改善多器官癥狀,用于治療IBS,尤其是腹瀉型IBS(IBS-D)。該系統通過將螺旋藻(SP)與楊梅素納米顆粒(MYnano)結合,實現了對腸絨毛的特異性捕獲與黏附,增強了抗胃酸能力和腸道滯留時間;其納米涂層可提升楊梅素(MY)的溶解度與生物利用度,同時具備抗小腸細菌過度生長的特性。實驗驗證顯示,SP@MYnn 能改善 IBS-D 患者的異常藥代動力學,修復腸道屏障(如恢復緊密連接蛋白 ZO-1、Claudin-1),調節腸道菌群(富集乳酸桿菌等)和短鏈脂肪酸(如增加丁酸、減少異戊酸),通過腸 - 腦軸減輕內臟高敏感性、緩解焦慮等精神癥狀。

這項成果不僅拓展了螺旋藻用于藥物載體的潛力,更開拓了其在精準醫療領域的應用。相關成果以《Microalgae-based Intestinal villi-targeting multistage biosystem for irritable bowel syndrome treatment》為題,近期發表在國際綜合類期刊《Nature Communications》上,為腸易激綜合征的臨床防治提供了創新性的解決方案。
1.IBS-D致腸動力學與口服藥物吸收紊亂;SP@MYnn多級系統的總體設計
研究首先利用GEO芯片數據對IBS患者的差異基因進行KEGG富集,提示神經—肌肉調節、分泌與吸收等通路顯著異常,為“腸動力失衡—口服藥物暴露不穩”的提供了證據(圖1a–b)。在給藥層面,作者制備MY粉末與腸溶膠囊并開展色譜-質譜檢測與小鼠血藥濃度評估(圖1c–e),同時以FITC示蹤比較不同載體的腸腔分布(圖1f)。掃描電鏡觀察證實口服SP可在絨毛表面形成穩定黏附及靶向性(圖1g)。在此基礎上,團隊提出“工程化微藻多級生物系統”模型:PLGA提升MY穩定性與分散性,SP提供絨毛靶向與益生學潛力,殼聚糖正電涂層在酸性環境下穩固結構并增強黏附與抗菌特性,三者協同應對IBS-D的藥代與治療雙重挑戰(圖1h)。

圖1:IBS-D 導致腸道運動障礙和藥物吸收紊亂。
2.工程化微藻生物系統的合成與理化表征
材料學層面,MY被制備為納米顆粒(MYnano),TEM顯示規則納米形貌,溶解度增強(圖2a–c),掃描電鏡證明了SP@MYnn的成功合成,UV-Vis與ζ電位進一步確證不同組分的光譜與表面電性特征(圖2e–g)。將DiO標記的MYnano裝配到SP表面(SP@DiOnano)后,3D成像測得SP本體直徑約3779 nm,而納米涂層外徑可達11973 nm,提示強載藥與高包被能力(圖2h–i)。在模擬胃液(SGF)、小腸液(SIF)與結腸液(SCF)條件下,SP@MYnn在SGF中的穩定性顯著優于SIF/SCF,符合“先耐受后釋放”的口服遞送邏輯。

圖2:工程微藻生物系統的合成與表征。
3.體內分布以及粘附和抗腸道細菌過度生長(SICO)特性
SEM顯示口服后腸內容物中的SP@MYnn隨著消化而逐漸表面暴露,體內釋放動力學與體外一致(圖3a)。活體/離體器官熒光成像表明:與MYnano相比,SP裝配顯著延長腸腔滯留、擴大在腸道的分布范圍(圖3b–c),這與SP的絨毛靶向能力相一致。冷凍切片與細胞水平的共培養證實MYnano對腸上皮膜具有更強黏附;在IEC-6單層模型中,MYnano與SP@MYnn不破壞上皮電阻,且更容易被細胞攝取(圖3d–f);石英晶體微天平(QCM)在“黏蛋白涂覆”條件下進一步定量證明MYnano對黏液層的更高黏附量;翻轉腸囊實驗在體外模擬了腸道絨毛捕獲SP的特性(圖3g–h)。此外,該系統還顯示出抗SIBO的能力。

圖3:體內分布、藥物釋放和表面特性
4.SP@MYnn 應對 IBS-D 的藥代動力學并發癥
在IBS-D模型中,墨汁推進實驗顯示腸推進過快;但在該動力紊亂背景下,SP@MYnn仍可維持更廣的熒光分布面積與更高的腹部熒光保留,顯示優于MYnano的在體滯留與覆蓋。此外,在IBS-D狀態下,通過熒光顯微鏡及掃描電鏡再次證實了腸絨毛捕獲特性(圖4a–g)。組織與血液中的藥物含量測定進一步表明:IBS-D狀態顯著影響MYnano的腸組織與血藥濃度,而SP@MYnn幾乎不受影響,提示該生物系統有效維持了藥代動力學穩定(圖4h–i)。

圖4:生物系統應對腸道動力紊亂和藥物吸收障礙
5.腸屏障重建
作者采用感染結合應激誘導的PI-WA模型構建IBS模型(圖5a)。在多標記免疫與組織學層面,SP@MYnn顯著恢復杯狀細胞黏蛋白MUC-2、緊密連接蛋白ZO-1與Claudin-1表達,HE與AB-PAS證實上皮結構與分泌改善(圖5b–g)。FITC-葡聚糖的攝取水平與血清LPS水平均顯著下降,提示通透性降低;行為與排便指標(WAS期間糞便數與含水量)亦獲改善(圖5h–k)。

圖5:SP@MYnn 的腸道屏障修復功能
6.腸道組織微環境的調控
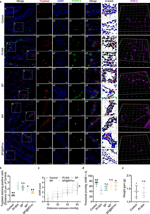
在結腸組織中,SP@MYnn顯著降低靠近腸道神經纖維5 μm范圍內的類胰蛋白酶陽性肥大細胞數量,并下調PAR-2通路活化(圖6a–b);相應地,直腸擴張誘發的腹壁回縮反射(AWR)評分下降、痛閾上升,提示內臟痛覺高敏得到抑制(圖6c–d)。

圖6:SP@MYnn 抑制由肥大細胞激活引起的內臟超敏反應。
7.改善精神癥狀
首先是腸道的膠質細胞增生在SP@MYnn的作用下有所緩解(圖7a)。IBS-D常伴發焦慮與認知受損,研究發現IBS-D在前額葉皮層、杏仁核的小膠質細胞處于活化狀態,而SP@MYnn較MY具有更顯著的逆轉效應,并下調CSF-1R與MHCII等激活標志(圖7b–g)。行為學上,曠場實驗顯示運動減少與中心區停留時間下降的焦慮表型,SP@MYnn有效治療了這一點;在高架十字迷宮中,SP@MYnn組動物開放臂探索時間與進入次數增加;新物識別測試中,SP@MYnn應用增強了對新物體探索,提示認知改善(圖7h–i)。

圖7:SP@MYnn 對精神癥狀的調節作用
8.SP@MYnn 通過腦-腸軸實現多系統治療
在脊髓L6-S1背角,小膠質的形態學激活與腦組織一致,SP@MYnn同樣有效逆轉(圖8a–b)。代謝組學提示PI-WA組中己酸、異丁酸、異戊酸等顯著升高,而SP@MYnn組中丁酸獲得了顯著富集。此前,異戊酸被報道與IBS-D相關,而丁酸的“抗神經炎癥/腸腦信號介導”作用獲得多項研究支持。在采用抗生素構建偽無菌小鼠后,SP@MYnn在行為學與組織學上的神經治療效應顯著衰減,提示腸道微生態代謝物在療效中具有必要性貢獻(圖8c–h)。

圖8:SP@MYnn對腦-腸軸的影響
9.SP@MYnn 通過短鏈脂肪酸調節腦-腸軸
為驗證SCFAs在中樞環路調控中的受體依賴性,研究構建GPR43敲除(KO)小鼠與KO的BV-2小膠質細胞。野生型(WT)動物中,口服SP@MYnn顯著下調脊髓、前額葉、杏仁核的CD86、CSF-1R、MHCII等微膠質活化標記;而在GPR43 KO動物中,上述下調不再顯著,僅保留少許MY本身的效應。細胞學層面的KO-BV-2亦驗證了這一受體依賴關系,確立“SCFAs-GPR43-小膠質”軸在療效中的關鍵地位。

圖9:SP@MYnn 通過短鏈脂肪酸調節腦-腸軸。
該研究以微藻的多級工程化設計,破解了IBS-D口服治療的“動力學—屏障—吸收—多器官協調”難題:在材料層面實現耐胃酸與絨毛靶向功能,在藥代動力學上削弱IBS-D對口服給藥的干擾,在組織器官層面重建腸屏障、抑制肥大細胞驅動的內臟高敏,在調控腸道微生態的基礎上通過腸—中樞神經系統軸降低小膠質活化并改善焦慮/認知表型;更以GPR43 KO動物與細胞學證據,為功能性胃腸疾病的跨系統精準治療提供了工程策略與機制依據。
論文第一作者為浙江大學博士生葉佳輝,浙江大學周民教授為論文的通訊作者。上述研究得到了國家重點研發計劃項目等基金項目的大力支持。
論文鏈接:https://doi.org/10.1038/s41467-025-62360-2